JJF(石化)043-2021 自热物质试验仪校准规范
JJF(石化)043-2021 Calibration Specification for Self-heating Substance Test Device
中文简体
现行
页数:28页
|
格式:PDF
基本信息
标准号
JJF(石化)043-2021
相关服务
仅限个人学习交流使用
标准类型
标准状态
现行
中国标准分类号(CCS)
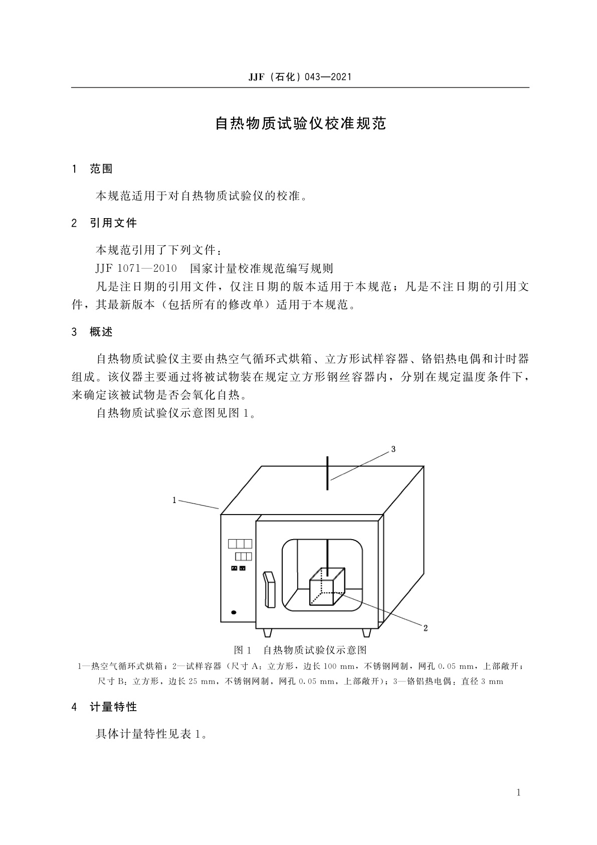
自热物质试验仪校准规范
国际标准分类号(ICS)
发布日期
2021-12-02
实施日期
2022-04-01
发布单位/组织
中华人民共和国工业和信息化部
归口单位
中国石油和化学工业联合会
适用范围
-
发布历史
-
2022-04
文前页预览
免费预览已结束,剩余部分可下载查看
研制信息
- 起草单位:
- 浙江省化工产品质量检验站有限公司、浙江省化工研究院有限公司
- 起草人:
- 任斌、宋志杨、吴燕芳、罗渊文、许丹红、方路
- 出版信息:
- 页数:28页 | 字数:38 千字 | 开本: 大16开
推荐标准
- GB/T 20313-2006 建筑材料及制品的湿热性能含湿率的测定 烘干法 2006-07-19
- GB/T 18866-2002 橡胶 酸消化溶解法 2002-10-15
- GB/T 31551-2015 水玻璃砂再生成套设备 技术条件 2015-05-15
- GB/T 4335-2013 低碳钢冷轧薄板铁素体晶粒度测定法 2013-12-17
- GB/T 8804.2-2003 热塑性塑料管材 拉伸性能测定 第2部分:硬聚氯乙烯(PVC-U)、氯化聚氯乙烯(PVC-C)和高抗冲聚氯乙烯(PVC-HI)管材 2003-03-05
- YS/T 3008-2012 燃油(柴油)加热活性炭再生工艺能源消耗限额 2012-05-24
- GB/T 6150.16-2009 钨精矿化学分析方法 铁量的测定 磺基水杨酸分光光度法 2009-10-30
- GB/T 26866-2022 电力时间同步系统检测规范 2022-10-12
- GB/T 4210-2015 电工术语 电子设备用机电元件 2015-09-11
- GB/T 32243-2015 植物保护机械 喷雾机(器)过滤器 标识用颜色编码 2015-12-10
相似标准推荐
更多>- 1 NB/T 10949-2022 避难硐室用防护密闭门
- 2 JJG 2060-2014 pH(酸度)计量器具
- 3 YS/T 1081-2015 硝酸铯
- 4 GB 19695-2005 原产地域产品 秀油
- 5 GB/T 693-2024 化学试剂 三水合乙酸钠(乙酸钠)
- 6 GB/T 6113.2-1998 无线电骚扰和抗扰度测量方法
- 7 SB/T 10707-2012 摄影器材交易市场建设和经营管理规范
- 8 GB/T 18770-2008 食盐批发企业管理质量等级划分及技术要求
- 9 HY/T 254-2018 海滩质量评价与分级
- 10 HY/T 0343.7-2022 海-气二氧化碳交换通量监测与评估技术规程 第7部分:现场监测二氧化碳分压数据处理

关闭预览
